Courtesy of Global Direct Realty Inc.

3952 Campbell Street, Land for sale in Harbour Landing Regina , Saskatchewan , S4W 0L3

 MLS® # SK023559

Sign up to View

Days on Market

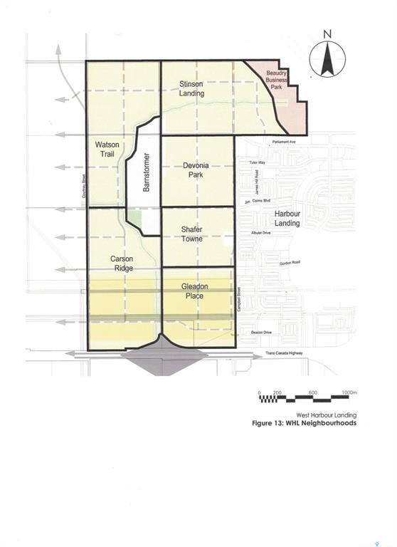
Located on a corner: TWO 25' x 125' undeveloped residential lots in Devonia Park or Phase IV of West Harbour Landing (located west of Harbour Landing and south of 26th Avenue). Devonia Park is a quarter section of land originally subdivided into 1,400 lots in 1912. Investment opportunity only at this time, with potential to build on in the future. Brokerage sign at the corner of Campbell Street and Parliament Avenue. GST may be applicable on the sale price. More information in the 'West Harbour Landing Neig...

Read More

Essential Information

  • MLS® #
    SK023559
  • Property Type
    Lot/Land
  • MLS® #
    SK023559
  • Property Type
    Lot/Land
  • MLS® #
    SK023559
  • Property Type
    Lot/Land

Community Information

  • Neighbourhood
    Harbour Landing
  • Postal Code
    S4W 0L3
  • Neighbourhood
    Harbour Landing
  • Postal Code
    S4W 0L3
  • Neighbourhood
    Harbour Landing
  • Postal Code
    S4W 0L3

Additional Details

  • Taxes
    211
  • Ownership Title
    Freehold
  • Taxes
    211
  • Ownership Title
    Freehold
  • Taxes
    211
  • Ownership Title
    Freehold

$35,000

3952 Campbell Street

Schedule Tour
Contact Agent

$160/month
Est. Monthly Payment
$
$
%
Learn More