Courtesy of Global Direct Realty Inc.

4040 Donald Street, Land for sale in Harbour Landing Regina , Saskatchewan , S4S 0L3

 MLS® # SK024190

Sign up to View

Days on Market

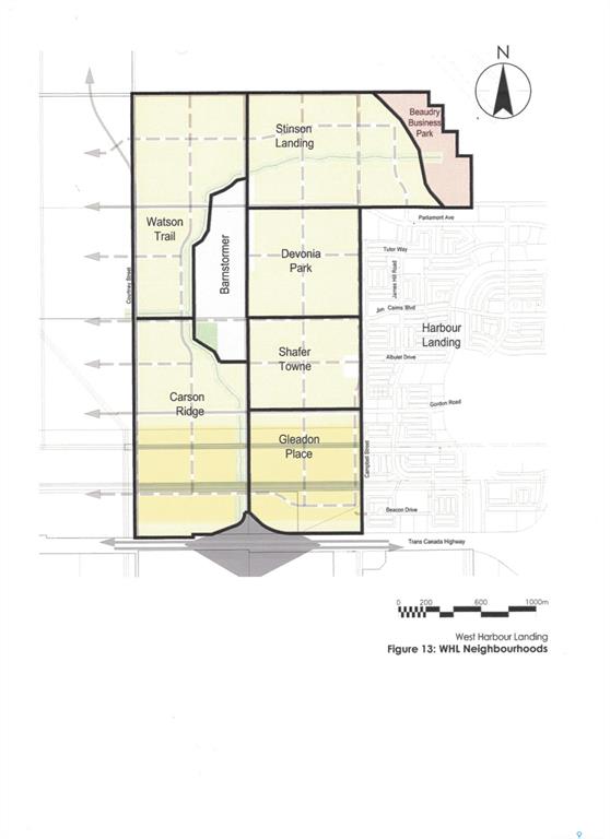
One 25' x 125' undeveloped residential lots in Devonia Park or Phase IV of West Harbour Landing (located west of Harbour Landing and south of 25th Avenue). Investment opportunity only at this time, with potential to build on in the future. Devonia Park is a quarter section of land originally subdivided into 1,400 lots in 1912. Brokerage sign at the corner of Campbell Street and Parliament Avenue. GST may apply to the sale price. More information at the 'West Harbour Landing Neighborhood Planning Report'. Th...

Read More

Essential Information

  • MLS® #
    SK024190
  • Property Type
    Lot/Land
  • MLS® #
    SK024190
  • Property Type
    Lot/Land
  • MLS® #
    SK024190
  • Property Type
    Lot/Land

Community Information

  • Neighbourhood
    Harbour Landing
  • Postal Code
    S4S 0L3
  • Neighbourhood
    Harbour Landing
  • Postal Code
    S4S 0L3
  • Neighbourhood
    Harbour Landing
  • Postal Code
    S4S 0L3

Additional Details

  • Taxes
    105
  • Ownership Title
    Freehold
  • Taxes
    105
  • Ownership Title
    Freehold
  • Taxes
    105
  • Ownership Title
    Freehold

$9,500

4040 Donald Street

Schedule Tour
Contact Agent

$44/month
Est. Monthly Payment
$
$
%
Learn More